Osy von innen

Gesammelte Röntgenaufnahmen

HD-Röntgen mit 8 Monaten, 2014, Dr. Eckes in Lindlar.
Ergebnis: nicht Top, aber brauchbar. Keine Probleme zu erwarten, auch wenn es besser sein könnte. Offizielle Zuchtzulassung: eher nicht - aber wollen wir sowieso nicht.

Röntgen Novenber 2016 nach heftigen Rückenschmerzen
Ergebnis: beginnende Spondylose. Dr. Eckes empfiehlt viel Schmerzmittel und kein wildes Toben mehr. Ich finde dank Facebook eine Frau, die in Akupunktur perfekt ist (Heike Dobersch aus Nümbrecht). Sie stellt fest: so ziemlich alle Wirbel sind verschoben. In 10 Sitzungen wird das behoben. Angeblich bildet sich die Spondylose zurück...??? Aber bis heute kein derartiger Anfall mehr. 

Ein Splitter in der Pfote erzeute eine heftige Entzündung (Juni 2018)
Ob wohl ich meiner Stamm-Tierärztin sage: schneide das Ganglion auf, da ist gewiss was drin, bekam ich nur Antibiotika. In Kroatien dann ein ganz dicker Fuß. Der wirklich fähige Tierarzt in Pula, Dr. Hajster, musste dann den Daumen entfernen. 

Diagnose Ehrlichiose (August 2018)
Die durch Zecken übertragene Krankheit hatte katastrophale Folgen mit schweren inneren Blutungen. In Folge dessen wurden diese Aufnahmen in der Praxis Bücheler und in der Tierklinik Betzdorf gemacht.
Lesen Sie hier den Befund Betzdorf 5.9.2019
Blutbilder bis Jan 2019 hier

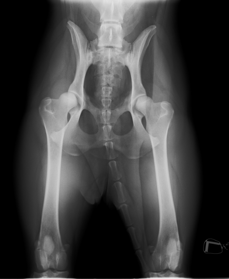
Röntgen Rücken bei Doc Bücheler in Engelskirchen
Kauda Equina oder was sonst noch so auftauchte, 24.10.2018

Die Bilder liegen in Originalgröße vor. Zur Anzeige der Originalgröße auf das entsprechende Mini-Bild drücken und dann im vergößerten Bild: rechte Maustaste - "in neuem Tab öffnen"

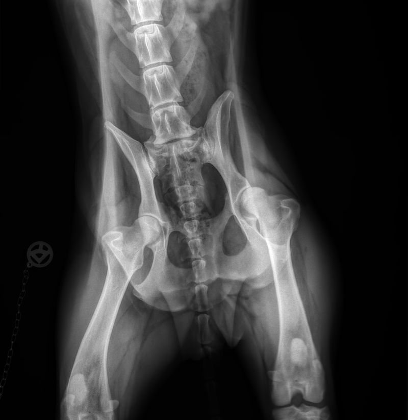
Röntgen Rücken bei Doc Bücheler in Engelskirchen

11.05.2020

Die Bilder liegen in Originalgröße vor. Zur Anzeige der Originalgröße auf das entsprechende Mini-Bild drücken und dann im vergößerten Bild: rechte Maustaste - "in neuem Tab öffnen"

CT der Vet Klinik Bad Reichenhall

20.12.2021

Rücken, Rücken und nochmal Rücken - SCHEISSE
Befund 1
Befund 2
Befund 3
CT-Daten (500mb als Zip, anzuschauen mit dem Programm XnView)

Blutuntersuchung Tierklinik Nümbrecht

22.05.2022 - PDF

Blutuntersuchung und QM-Untersuchung HamburgVets Schrader (au weia, was ist das für einer!)

22.06.2022 - Blut 1     Blut 2    QM

Blutuntersuchung  

16.08.2022 - Pathologischer Bericht Mammatumor
28.09.2022 - Büchler Blut PDF (inkl Gastro Profil)


27.10.2022; Röntgen Dr. Eckes Lindlar, Verdacht auf Lungenkrebs

Blutuntersuchung Büchler 

31.10.2022 - Blut PDF großes Blutbild


Die letzten Neuigkeiten

Der in dieser Seite beschriebene Nissan Patrol ist im Feb. 2017 in Windhoek verstorben. Die letzte wirklich teure Motorüberholung in Bethlehem-Südafrika hat er nicht überlebt.